Меню

Участок вблизи отеля Hilton в Нижнем Новгороде готовят к застройке

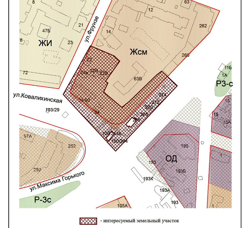
Администрация Нижнего Новгорода утвердила расчётные показатели для территории по ул. Ковалихинской – Фрунзе. Участок в центральной части города готовят к застройке.

Развитию подлежит территория в Нижегородском районе, ограниченная улицами Фрунзе, Ковалихинской и М. Горького, следует из постановления на сайте мэрии. Сейчас этот участок занят старыми двухэтажными жилыми домами. Напротив перспективной зоны застройки располагается новый отель Hampton by Hilton.

Расчётные показатели обеспечения территории объектами социальной, инженерной инфраструктуры разработаны в соответствии со ст. 46.1 Градостроительного кодекса РФ (о застроенных территориях), а также постановлением об утверждении муниципальной адресной программы сноса и реконструкции ветхого и аварийного фонда. В программу включены дома №22 А, Б по ул. Фрунзе. Всего на территории около десятка зданий.

Участок относится к функциональной зоне Жсм – жилой многоквартирной, общественной застройки. Квартал в границах улиц Большая Печерская, Максима Горького, Белинского, Ковалихинская, Фрунзе входит в перечень перспективных площадок для строительства.

Как писал DK.RU, администрация Нижнего Новгорода планирует провести 50 аукционов на право развития застроенных территорий в разных районах города. Договоры с застройщиками предполагают расселение жителей ветхих домов (мэрией) и возведение новых жилых зданий с инженерной инфраструктурой.

Напомним, в конце сентября мэрия объявила о проведении торгов на право развития пяти территорий в Ленинском, Приокском и Нижегородском районах.  В октябре были выставлены на торги ещё четыре участка, в Канавинском, Московском и Советском районах.