Нижегородская мэрия готовится к завершению развязки в районе Новикова-Прибоя
Администрация Нижнего Новгорода возобновила работы, связанные со строительством развязки в районе ул. Новикова-Прибоя и разрывом транспортного кольца.
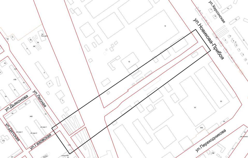
Нижегородская мэрия приняла решение о подготовке документации по планировке территории в районе ул. Лесной - ул. Новикова-Прибоя в Ленинском районе, говорится в постановлении на сайте городской администрации. Сроки проведения работ не указаны.
Документация необходима для строительства автомобильной дороги и установления красных линий. Согласно приложению к документу, речь идёт об отрезке от ул. Лесной до ул. Новикова-Прибоя, параллельном ул. Переходникова.
Как писал DK.RU, строительство трассы по ул. Лесной является частью проекта по разрыву кольцевой развязки на ул. Новикова-Прибоя. Новый участок дороги должен быть проложен под вдоль северной границы завода «Теплообменник». Транспорт, следующий по ул. Переходникова, Восточному проезду, ул. Героя Попова, будет выезжать на ул. Новикова-Прибоя, минуя кольцо.
В 2014 г. был реконструирован Восточный, проезд, установлено освещение на ул. Героя Попова. Однако в 2015 г. проект был «заморожен», в частности, из-за необходимости сноса гаражного массива и выноса теплотрассы.









