Учредитель телекомпании готовится к застройке центра Нижнего Новгорода
Мэрия разрешила застройщику отступление от правил при разработке проекта освоения территории вблизи Гребешковского откоса. Компания, связанная с местным телеканалом, планирует жильё и гостиницу.
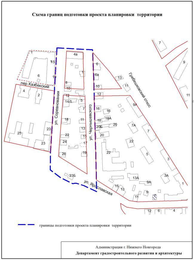
8 августа нижегородская мэрия одобрила ООО «Гребешок» отклонение от предельных параметров разрешённого строительства при подготовке проектной документации для территории в границах улиц Соревнования и Чернышевского. Об этом говорится в материалах на сайте администрации.
Отклонения допускаются для территориальных зон Ж-5 (зона среднеэтажной жилой застройки 5 - 10 этажей) и Ц-1 (зона обслуживания и деловой активности городского центра) в части уменьшения отступа от красных линий при строительстве многоквартирного жилого дома с подземной автопарковкой и общественными помещениями. Здание возведут в районе домов №24,25 по улице Соревнования и дома №19 по улице Чернышевского. Застройке подлежит участок площадью 2200 кв. м.
Другим постановлением администрация одобряет аналогичные изменения для участка около дома №26 по улице Соревнования. Территория площадью 1000 кв. м выделена для строительства гостиницы.
В 2014 г. администрация выдала ООО «Гребешок» разрешение на подготовку проекта планировки территории в границах улиц Чернышевского, Ярославской и Соревнования.
По данным сервиса аналитики контрагентов Seldon Basis, ООО «Гребешок» зарегистрировано в 2013 г. и специализируется на строительстве зданий. Управляющий компанией — ИП Наталья Петровичева. Г-жа Петровичева также является учредителем ООО «Сети НН», которое владеет сайтом setinn.ru (сетевое издание, интернет-телевидение). Учредителями ООО «Гребешок» являются Михаил Ухов и Андрей Черемисинов. Андрей Черемисинов ранее являлся гендиректором телекомпании «Сети НН» (то ли это лицо, на данный момент неизвестно).









